ՀԱՅԱՍՏԱՆԻ ՀԱՆՐԱՊԵՏՈՒԹՅԱՆ ԿԱՌԱՎԱՐՈՒԹՅՈՒՆ
Ո Ր Ո Շ ՈՒ Մ
3 մարտի 2016 թվականի N 280-Ն
«ԵՐԵՎԱՆԻ ՄԽԻԹԱՐ ՀԵՐԱՑՈՒ ԱՆՎԱՆ ՊԵՏԱԿԱՆ ԲԺՇԿԱԿԱՆ ՀԱՄԱԼՍԱՐԱՆ» ՀԻՄՆԱԴՐԱՄԻՆ ԱՄՐԱԿՑՎԱԾ ՀՈՂԱՄԱՍԸ ՄԱՍՆԱԿԻ ՀԵՏ ՎԵՐՑՆԵԼՈՒ ԵՎ «ԵՐԵՎԱՆԻ ՄԽԻԹԱՐ ՀԵՐԱՑՈՒ ԱՆՎԱՆ ՊԵՏԱԿԱՆ ԲԺՇԿԱԿԱՆ ՀԱՄԱԼՍԱՐԱՆ» ՀԻՄՆԱԴՐԱՄԻՆ ՍԵՓԱԿԱՆՈՒԹՅԱՆ ԻՐԱՎՈՒՆՔՈՎ ՊԱՏԿԱՆՈՂ ՀՈՂԱՄԱՍԻ ՀԵՏ ՓՈԽԱՆԱԿԵԼՈՒ, ՀԱՅԱՍՏԱՆԻ ՀԱՆՐԱՊԵՏՈՒԹՅԱՆ ԿԱՌԱՎԱՐՈՒԹՅԱՆ 2014 ԹՎԱԿԱՆԻ ՆՈՅԵՄԲԵՐԻ 27-Ի N 1407-Ն ՈՐՈՇՄԱՆ ՄԵՋ ՓՈՓՈԽՈՒԹՅՈՒՆՆԵՐ ԿԱՏԱՐԵԼՈՒ ԵՎ 2015 ԹՎԱԿԱՆԻ ՍԵՊՏԵՄԲԵՐԻ 25-Ի N 1246-Ն ՈՐՈՇՈՒՄՆ ՈՒԺԸ ԿՈՐՑՐԱԾ ՃԱՆԱՉԵԼՈՒ ՄԱՍԻՆ
Ղեկավարվելով Հայաստանի Հանրապետության քաղաքացիական օրենսգրքի 163-րդ, 589-րդ, 590-րդ հոդվածներով, Հայաստանի Հանրապետության հողային օրենսգրքի 61-րդ հոդվածի 1-ին մասով, 71-րդ հոդվածի 2-րդ մասով, 66-րդ հոդվածի 1-ին մասի 11-րդ կետով, «Իրավական ակտերի մասին» Հայաստանի Հանրապետության օրենքի 70-րդ հոդվածի 2-րդ մասի 1-ին կետով, 72-րդ հոդվածի 1-ին մասի 1-ին կետի «բ» ենթակետով և Հայաստանի Հանրապետության կառավարության 2001 թվականի ապրիլի 12-ի N 286 որոշմամբ հաստատված կարգի 31-րդ կետով՝ Հայաստանի Հանրապետության կառավարությունը որոշում է.
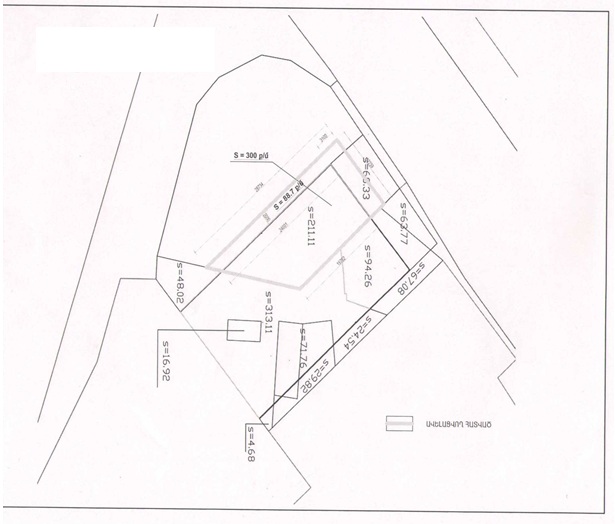
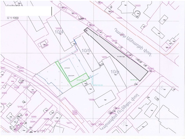
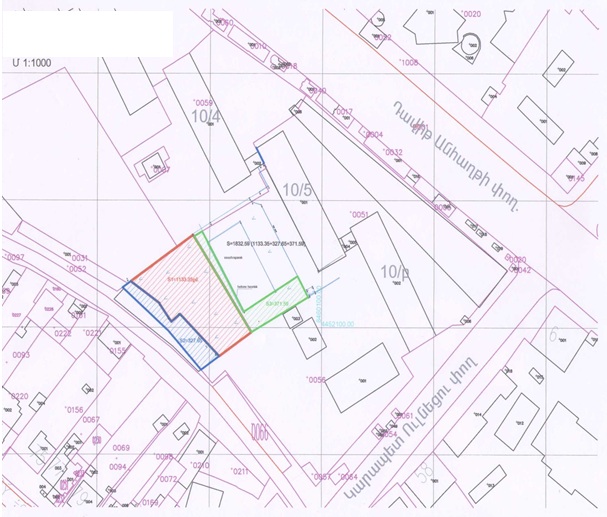
1. Երևանի քաղաքային համայնքի վարչական սահմաններում գտնվող՝ Հայաստանի Հանրապետության սեփականությունը հանդիսացող՝ «Երևանի Մխիթար Հերացու անվան պետական բժշկական համալսարան» հիմնադրամին անհատույց օգտագործման իրավունքով պատկանող՝ Երևան քաղաքի Դավիթ Անհաղթի N 10 հասցեում գտնվող՝ 0,69803 հեկտար հողամասից (վկայական՝ N 2003204-01-0037, տրված՝ 2014 թվականի մարտի 20-ին)՝ 0,1461 հեկտար մակերեսով և 0,037159 հեկտար (ընդհանուր՝ 0,183259 հեկտար) մակերեսով հողամասը՝ համաձայն N 1 հավելվածի, հետ վերցնել:
2. Սույն որոշման 1-ին կետում նշված՝ 0,1461 հեկտար մակերեսով հողամասը փոխանակել «Երևանի Մխիթար Հերացու անվան պետական բժշկական համալսարան» հիմնադրամին սեփականության իրավունքով պատկանող՝ Երևան քաղաքի Դավիթ Անհաղթի N 10/20 հասցեում գտնվող՝ 0,1461 հեկտար մակերեսով հողամասի հետ (վկայական՝ N 2563866, տրված՝ 2008 թվականի հունիսի 27-ին)՝ համաձայն N 2 հավելվածի:
3. Հայաստանի Հանրապետության կառավարության 2014 թվականի նոյեմբերի 27-ի «Երևանի Մխիթար Հերացու անվան պետական բժշկական համալսարան» պետական ոչ առևտրային կազմակերպությունը «Երևանի Մխիթար Հերացու անվան պետական բժշկական համալսարան» հիմնադրամի վերակազմավորելու և գույք տրամադրելու մասին» N 1407-Ն որոշման մեջ կատարել հետևյալ փոփոխությունները՝
1) որոշման 7-րդ կետում 0,69803 թիվը փոխարինել 0,514771 թվով.
2) որոշման N 2 հավելվածի 12-րդ կետի 11-րդ սյունակում 0,54978 թիվը փոխարինել 0,514771 թվով.
3) որոշման N 3 հավելվածի 9-րդ կետի 11-րդ սյունակում 0,54978 թիվը փոխարինել 0,514771 թվով:
4. Ուժը կորցրած ճանաչել Հայաստանի Հանրապետության կառավարության 2015 թվականի սեպտեմբերի 25-ի «Երևանի Մխիթար Հերացու անվան պետական բժշկական համալսարան» հիմնադրամին ամրակցված հողամասը մասնակի հետ վերցնելու և փոխանակելու և Հայաստանի Հանրապետության կառավարության 2014 թվականի նոյեմբերի 27-ի N 1407-Ն որոշման մեջ փոփոխություններ կատարելու մասին» N 1246-Ն որոշումը:
5. Առաջարկել Երևանի քաղաքապետին սույն որոշումն ուժի մեջ մտնելուց հետո մեկամսյա ժամկետում՝
1) սույն որոշման 1-ին կետում նշված՝ 0,1461 հեկտար մակերեսով, 15 647 310 դրամ կադաստրային արժեքով հողամասը փոխանակել «Երևանի Մխիթար Հերացու անվան պետական բժշկական համալսարան» հիմնադրամին սեփականության իրավունքով պատկանող՝ Երևան քաղաքի Դավիթ Անհաղթի N 10/20 հասցեում գտնվող՝ 0,1461 հեկտար մակերեսով, 15 647 310 դրամ կադաստրային արժեքով հողամասի հետ (վկայական՝ N 2563866, տրված՝ 2008 թվականի հունիսի 27-ին)՝ կնքելով հողամասերի փոխանակության պայմանագիր.
2) սույն կետի 1-ին ենթակետում նշված հողամասերի փոխանակումից հետո Երևան քաղաքի Դավիթ Անհաղթի N 10/20 հասցեում գտնվող՝ 0,1461 հեկտար մակերեսով և սույն որոշման 1-ին կետում նշված՝ 0,037159 հեկտար (ընդհանուր՝ 0,183259 հեկտար) մակերեսով, 19 627 039 դրամ կադաստրային արժեքով հողամասերը փոխանակել «Երիտասարդական նախաձեռնություններ» հիմնադրամին սեփականության իրավունքով պատկանող՝ Երևան քաղաքի Պարոնյան N 40/2 հասցեում գտնվող՝ 0,08685 հեկտար մակերեսով, 22 016 475 դրամ կադաստրային արժեքով հողամասի հետ (վկայական՝ N 2282943, տրված՝ 2010 թվականի հունվարի 14-ին)՝ համաձայն N 3 հավելվածի՝ կնքելով հողամասերի փոխանակության պայմանագիր.
3) սույն կետի 2-րդ ենթակետում նշված հողամասերի փոխանակությունից հետո Երևան քաղաքի Պարոնյան N 40/2 հասցեում գտնվող՝ 0,0868.5 հեկտար մակերեսով հողամասից 0,0300 հեկտար մակերեսով հողամասը՝ համաձայն N 4 հավելվածի, ուղղակի վաճառքի ձևով օտարել (վաճառել) «Ի ԷՄ ՍԻ» փակ բաժնետիրական ընկերությանը՝ Երևան քաղաքի հողերի տարածագնահատման 3-րդ գոտու կադաստրային արժեքով, որը կազմում է` 7 605 000 դրամ, և փոխանցել Հայաստանի Հանրապետության պետական բյուջեի համապատասխան հաշվեհամարին.
4) ապահովել հողամասերի սահմանների ճշտման, գույքային իրավունքների պետական գրանցման աշխատանքները` դրանց հետ կապված ծախսերն իրականացնելով «Ի ԷՄ ՍԻ» փակ բաժնետիրական ընկերության միջոցների հաշվին:
|
Հայաստանի Հանրապետության |
Հ. Աբրահամյան |
|
2016 թ. մարտի 23 Երևան |
|
Հավելված N 1 |
|
Հայաստանի Հանրապետության |
Դ. Հարությունյան |
|
Հավելված N 2 |
|
Հայաստանի Հանրապետության |
Դ. Հարությունյան |
|
Հավելված N 3 |
|
Հայաստանի Հանրապետության |
Դ. Հարությունյան |
|
Հավելված N 4 |
|
Հայաստանի Հանրապետության |
Դ. Հարությունյան |